旅行刊
有关旅行的
这里都有
旅行目的地介绍
旅行攻略分享
还有路上的故事
.....
CNN2017年度图片精选
1/40 当地时间2017年1月10日,美国前总统奥巴马和夫人米歇尔在发表了告别致辞后离开演讲台。Charles Rex Arbogast/AP
2/40 当地时间2017年1月20日,美国总统唐纳德·特朗普参加华盛顿就职典礼。Doug Mills/Pool/Getty Images
3/40 当地时间2017年1月21日,人们在参加妇女游行活动。至少有一百万人在华盛顿和美国其他城市游行,表达他们对女权的支持以及对特朗普当选总统的不满。Mario Tama/Getty Images
4/40 当地时间2017年1月13日,来自马里的孩子与其他难民在被从地中海救起后睡着了。据统计,2017年有上千难民在穿越地中海时死亡。Olmo Calvo/AP
5/40 当地时间2017年1月13日,德国,一只不小心落水的狐狸被冻在了冰块里。Johannes Stehle/dpa/AP
6/40 当地时间2017年2月1日,约旦河西岸阿莫纳,以色列警方带走了一名抗议者。Baz Ratner/Reuters/Newscom
7/40 当地时间2017年3月14日,伊拉克摩苏尔,ISIS与伊拉克军队发生冲突期间,一名受伤的男子被抬到一辆伊拉克装甲车上。Felipe Dana/AP
8/40 当地时间2017年3月22日,一名男子驾驶汽车在英国议会大厦威斯敏斯特宫附近的威斯敏斯特桥上冲撞行人。随后,这辆汽车撞在议会大厦外的铁栅栏上,驾车男子下车持刀攻击在议会大厦外执勤的警察,并企图闯入议会大厦。几名警察追赶这名男子并向其开枪,这名男子被击倒。一名警察受伤后,其他便衣警员持枪阻止了袭击者。Stefan Rousseau/PA Wire/AP
9/40 当地时间2017年3月25日,美国加利福尼亚州亨廷顿海滩举办了一场“让美国再次强大”的集会,结果特朗普的支持者和抗议者产生了分歧,双方大打出手,引发了一场暴力事件。Irfan Khan/Los Angeles Times/Getty Images
10/40 当地时间2017年4月10日,埃及,葬礼上哭泣的女人。9日,埃及坦塔市和亚历山大市的两座基督教堂发生爆炸事件,造成至少47人死亡。Samer Abdallah/AP
11/40 当地时间2017年5月24日,难民在木船倾覆后在地中海游泳求生。超过600人获救,但至少有30人死亡。Chris McGrath/Getty Images
12/40 当地时间2017年5月18日,加纳的难民Seidu Mohammed在得到加拿大的庇护后微笑。因为冻伤他失去了所有的手指。John Woods/The Canadian Press/AP
13/40 2017年5月21日,世界知名的美国“玲玲兄弟与巴拿姆贝理马戏团”在纽约长岛举行谢幕演出。这个有着146年历史的马戏团,即将走入历史。驯兽师Alexander Lacey在林林兄弟马戏团最后的表演期间,趴在狮子身上休息。Lucas Jackson/Reuters/Newscom
14/40 当地时间2017年6月11日,马来西亚吉隆坡,女子在清真寺古兰经诵读中交谈。此时正值斋月,穆斯林一年中最神圣的一个月。Ahmad Yusni / EPA
15/40 当地时间2017年4月23日,法国巴黎,法国总统候选人马克龙在第一轮投票后与支持者讲话。Aurelien Meunier/Getty Images
16/40 当地时间2017年5月17日,美国众议院民主党人在新闻发布会上展示美国总统特朗普和俄罗斯外长拉夫罗夫握手的照片。特朗普10日在白宫会见俄罗斯外交部长谢尔盖·拉夫罗夫。白宫不让本国媒体拍摄,事后也不发布官方照片。但会见结束后,俄方很快发布了两人在白宫椭圆形办公室的握手照,包括一些美国媒体在内的全球媒体纷纷采用。Chip Somodevilla/Getty Images
17/40 当地时间2017年5月19日,美国新奥尔良的工人准备拆除南北战争期间联盟国总司令Robert E.Lee的雕像。Gerald Herbert/AP
18/40 当地时间2017年7月5日,委内瑞拉加拉加斯,政府支持者在反对派控制的议会举行会议期间突然闯入,反对党议员Luis Stefanelli将双手举起。Carlos Garcia Rawlins/Reuters/Newscom
19/40 当地时间2017年7月7日,格鲁吉亚女子伊莎贝尔·马丁内斯被指控刺杀她四个孩子和他们的父亲。她在第一次出庭时对摄像机竖起大拇指。John Bazemore/AP
20/40 当地时间2017年7月10日,智利国会大厦,同性恋权利活动分子与反对性别认同法案的人发生冲突。防暴警察在一家美术馆外与抗议者对峙。Esteban Felix / AP
21/40 当地时间2017年6月14日,英国伦敦一栋高层公寓起火,造成79人死亡。Guilhem Baker
22/40 当地时间2017年8月30日,飓风哈维袭击美国,得克萨斯州的一位老人躺在病床上等待救援。Nick Oza/USA Today Network
23/40 当地时间2017年8月5日,空袭中受伤的儿童在叙利亚临时医院等待接受治疗。 Ammar Suleiman/AFP/Getty Images
24/40 当地时间2017年8月5日,游客在澳大利亚悉尼港遇到座头鲸.Jonas Liebschner/Whale Watching Sydney/Caters News
25/40 2017年8月10日,俄罗斯克拉斯诺亚尔斯克,国家马戏团的长颈鹿“亲吻”一名女观众。Ilya Naymushin / Reuters / Newscom
26/40 当地时间2017年12月12日,苹果全球营销高级副总裁Phil Schiller在加利福尼亚州库比蒂诺市举行的一次发布会上介绍iPhone X。Stephen Lam / Reuters / Newscom
27/40 当地时间2017年10月9日,美国加州森林大火蔓延,闻名世界的葡萄酒产地纳帕和索诺玛受灾严重。Noah Berger/San Francisco Chronicle/Polaris
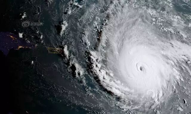
28/40 当地时间2017年9月5日,在美国国家海洋和大气管理局发布的卫星图像中,飓风伊尔玛在穿越加勒比海。NOAA/AP
29/40 当地时间2017年9月13日, 一张航拍照片显示遭飓风袭击后的英属维尔京群岛首府罗德城。L(Phot) Joel Rouse/EPA
30/40 当地时间2017年9月29日,日本,喷发中的御岳火山电闪雷鸣,火山突然爆发导致55名登山者死亡,9人失踪。The Asahi Shimbun/Getty Images
31/40 当地时间2017年9月13日,这个土星图像是美国航天局卡西尼号探测器拍摄的最后一张照片。 卡西尼号花了13年时间探索这颗行星及其卫星,带来的数据和图像让人们有了许多发现,改变了科学家对太阳系的认识。NASA / JPL-Caltech / Space Science Institute
32/40 当地时间2017年10月30日,一名背包客行走在美国亚利桑那州的一处U型山谷,当地的地理条件形成了这种特殊地貌。
33/40 当地时间2017年10月16日, 叙利亚民主力量的一名成员,在叙利亚拉卡查看战争造成的破坏。Bulent Kilic/AFP/Getty Images
34/40 当地时间2017年10月1日,美国拉斯维加斯乡村音乐节上枪声响起之后,音乐会的观众们翻过栅栏,趴倒在地。 当晚,美国拉斯维加斯曼德勒湾酒店赌场一个场外的音乐节发生枪击事件。64岁的白人枪手史蒂芬·帕多克从对面曼德勒海湾宾馆的32层向楼下观看演唱会的观众开枪扫射,当时有多名乡村音乐歌手和约3万名观众在现场,事件导致59人死亡,527人受伤。David Becker/Getty Images
35/40 当地时间2017年10月30日 ,一名警察背着一名女学生,让她远离肯尼亚内罗毕警方和抗议者之间的冲突。Dai Kurokawa/EPA
36/40 当地时间2017年10月4日,英国财长菲利普·哈蒙德向总理特里萨·梅递止咳药片。当时她正在英国曼彻斯特的保守党大会上发表演说。Phil Noble/Reuters/Newscom
37/40 当地时间2017年11月13日,伊朗,一名妇女抱起小女儿的尸体痛哭。伊拉克与伊朗边界地区发生7.3级地震,造成数百人死亡,数千人受伤。Mosleh Pirkhezranian/Islamic Republic News Agency/AP
38/40 当地时间2017年12月3日,美国宇航员Randy Bresnik从国际空间站拍摄到超级月亮,并发送至推特。Randy Bresnik/NASA
39/40 当地时间2017年11月13日,印度尼西亚,10头鲸鱼在海滩搁浅,当地志愿者齐心协力,试图将其中一头鲸鱼重新推回海中。Syahrol Rizal/AP
40/40 当地时间2017年12月5日,约翰·贝恩和布兰登·贝克试图阻止野火在加利福尼亚州的文图拉的蔓延。 在南加利福尼亚,野火肆虐第三天,燃烧面积超过65000英亩,迫使数以万计的人逃离家园。Marcus Yam/Los Angeles Times/Getty Images
点赞是对我最大的鼓励
免费关注旅行刊,每天给你推荐各地美景攻略,还有精彩故事哦


